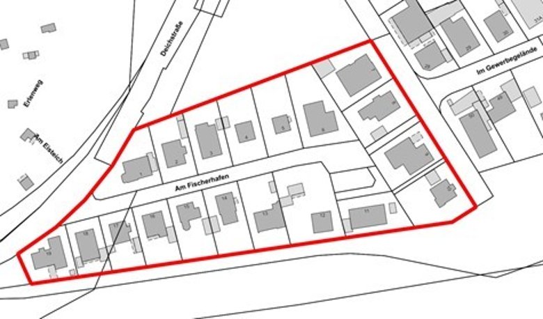
Der Verwaltungsausschuss der Stadt Norderney hat in seiner Sitzung am 05.02.2025 die Einleitung eines Verfahrens zur Neuaufstellung des Bebauungsplanes Nr. 12 „Am Fischerhafen“ beschlossen. Der Geltungsbereich ist aus dem nachstehenden Übersichtsplan ersichtlich:

Geltungsbereich Bebauungsplan Nr. 12 „Am Fischerhafen“, Verfahren zur Neuaufstellung
Im Zuge der Anpassung der Bauleitplanung der Stadt Norderney an die aktuelle Rechtsprechung zur Zulässigkeit von Ferienwohnungen wurde seit 2017 auch der ursprüngliche Bebauungsplan Nr. 12 „Am Fischerhafen“ aus dem Jahr 1969 überarbeitet. Für den 2021 in Kraft getretenen, entsprechend neu gefassten Bebauungsplan Nr. 12 „Am Fischerhafen“ wurden in der Folge mehrere Normenkontrollklagen erhoben. Mit Urteil des OVG Nds. vom 15.11.2024 wurde diese Planfassung nunmehr für unwirksam erklärt, so dass nunmehr wieder der ursprüngliche Bebbauungsplan aus dem Jahr 1969 rechtskräftig wird. Mit dem jetzt beschlossenen erneuten Aufstellungsverfahren sollen die bereits 2017 beschlossenen städtebaulichen Ziele für diesen Stadtbereich bauleitplanerisch umgesetzt werden.
Die Neuaufstellung des Bebauungsplanes erfolgt im beschleunigten Verfahren nach § 13 a BauGB, ohne die Durchführung einer Umweltprüfung.
Die Struktur innerhalb des Geltungsbereichs ist geprägt vom Nebeneinander der Wohn- und Beherbergungsnutzung. Mit der Neuaufstellung wird das Ziel verfolgt, die Anzahl und das Verhältnis von Dauer- und Ferienwohnungen zueinander zu regeln. Die weitere Entstehung von Zweitwohnungen soll unterbunden werden. Es soll ein sonstiges Sondergebiet gem. § 11 BauNVO „Dauerwohnen und Gästebeherbergung“ mit einer differenzierten Zulässigkeit von Wohnungen und Einheiten zur Gästebeherbergung (Ferienwohnungen) ausgewiesen werden.
Die Baukörper sollen hinsichtlich der überbaubaren Fläche, der Geschossigkeit und der Höhenentwicklung bestandsorientiert festgesetzt werden. Es sollen Bauvorschriften entwickelt werden, die bestandsorientierte Regelungen zur Gestaltung von Fassaden, Dächern und Dachaufbauten sowie zu untergeordneten Bauteilen wie Balkonen, Dachterrassen, Außentreppen etc. treffen. Durch die Ausweisung von privaten Grünflächen und die Regelung der Zulässigkeit von Stellplätzen soll die fortschreitende Versiegelung der Grundstücke gebremst werden. Weiterhin soll die Mindestgröße von Baugrundstücken geregelt werden.
26548 Norderney, den 07.02.2025
Der Bürgermeister
- Ulrichs -